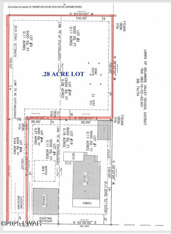
This .28 acre residential building lot has a secluded location in the Borough of Matamoras with Ridgeline views. Level building lot with curb cut and initial driveway. A permit has been issued for a Sewage Disposal System allowing for a 3 bedroom house. The lot is 1.2 miles to the NJ Transit Rail Station in Port Jervis. Lot has access to City Water and a natural gas line stub has been installed.
Show all description