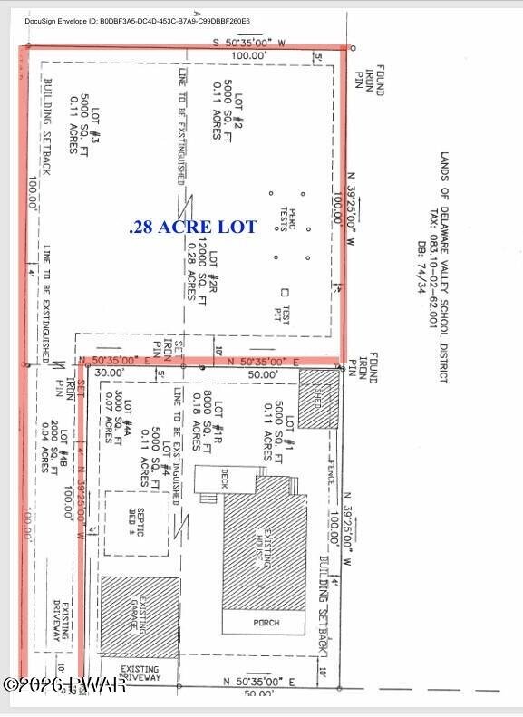
This is a flat, level residential building lot located in the Borough of Matamoras, PA. The building lot has an approved septic system permit for a 3 bedroom home. This is considered a flag lot. The initial driveway is already in and the lot has access to the town public water system. The building lot has nice views of the ridgeline that borders Matamoras. The lot sits back 100 feet from the road allowing for privacy and low noise. The lot size is .28 acres. There is a deed restriction which stipulates that no 2nd floor windows can peer into the master lot.
Show all description