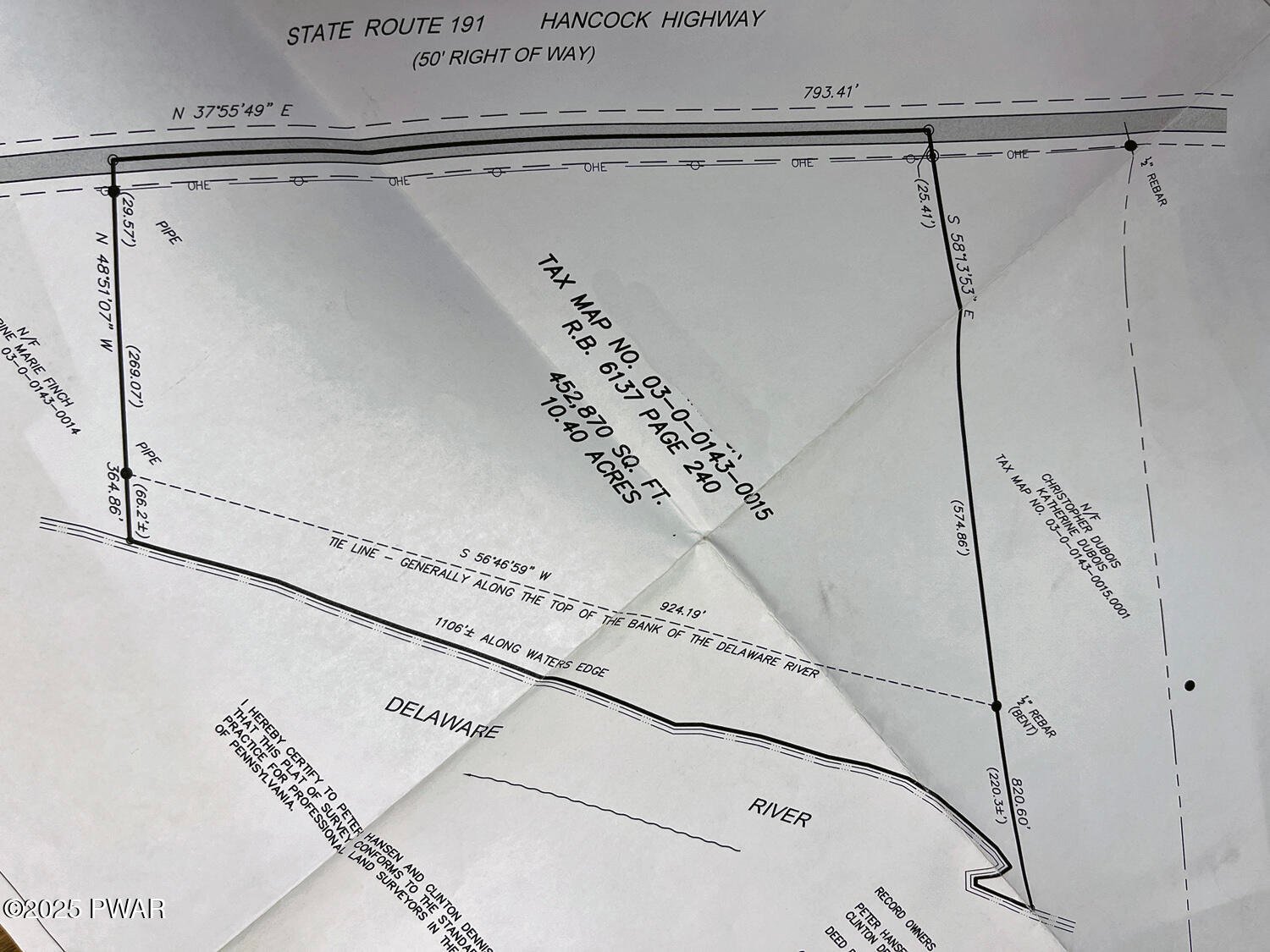
Ultimate Delaware Riverfront 10.4 acres. Boasting 1106 ' of river frontage along the water's edge, this is a rare waterfront find.Located between Equinunk, Pa and Hancock, NY, the trout fishing just doesn't get any better.The land itself is a large, level and lush meadow, with easy gentle access to the river, ready for a new home, business, or multiple home subdivision. There are 4 satisfactory perk tests and a survey. Build your dream home here and watch the trout rise and the eagles soar.
Show all description